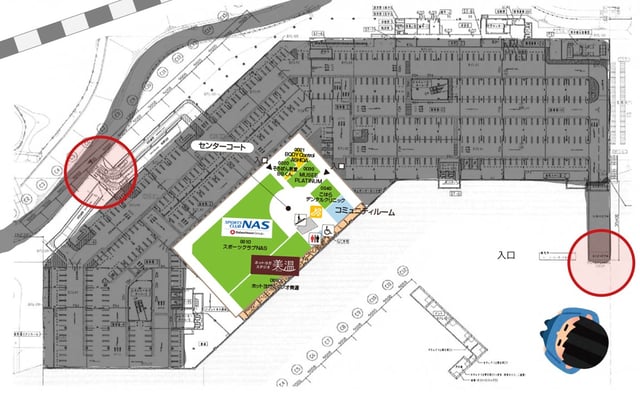
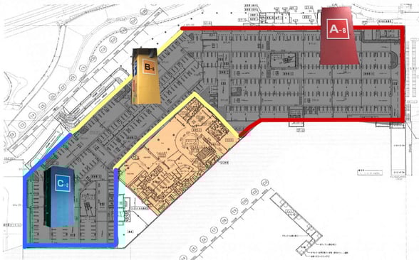
フォレオの地下一階は中央を除いて駐車場になっています。
赤(北)・中央(黄)・青(南)と店内入口エリアが柱で色分けしてあります。
入口(〇)は2か所。平面駐車場と新幹線側道路にあります。
新幹線側道路からの入口
(黄色ゾーン)
↓
↓
※倍速にしています
平面駐車場からの入口
(赤色ゾーン)
↓
黄色ゾーンに駐車するのが近いです。
(黄色の店内入口は2か所あります。)
店内入口1
↓
入って左手です。
店内入口2
こちらの広い入口からは約30歩。
直進して右折です。
注意!
他の色の入り口は1Fに上がってしまいます。
黄色を目指してください。
